Celebrating Warwick’s volunteers
The volunteers of Warwick have been celebrated through a morning tea hosted by the Southern Downs Regional Council on 23 May.
The event, held...
’Grow up’ on youth crime
Detention should no longer be a last resort for young offenders, but authorities need to “grow up“ and create a detention system that works,...
A new benchmark
Of late, there has been a new benchmark for subjects that used to be all but ignored by ‘polite society’ – subjects like domestic...
Celebrating decades in the job
The days of a ’job for life’ might be over for most workers, but there are still folks clocking up decades of service to...
Meetings about meetings
It must feel like having meetings about meetings for the councillors of the Southern Downs Regional Council lately.
At the council’s 15 May meeting, a...
Nationwide Bunnings Big Freeze BBQ
In a nationwide effort to raise funds for Motor Neurone Disease (MND), Bunnings is hosting a National Sausage Sizzle at all Australian stores on...
Data shows Warwick roads some of the worst in Qld for animal collisions
Motorists collide with animals in Warwick more frequently than any other area in Queensland, according to recently released RACQ claims data.
The insurer reported receiving...
Life saving locals celebrated
LifeFlight, the renowned aeromedical service, recently hosted a gala to celebrate its life-saving work and the lives saved.
Among the 700 in attendance was...
Familiar territory for Warwick’s newest cop
Last week’s graduation from the police academy was a particularly special occasion for Warwick’s newest cop.
First Year Constable Sarah Harmer was among 137 new...
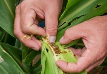
Reports of fall armyworm infestations in winter grazing crop
Reports of fall armyworm infestations in a specific type of grazing oat across Queensland’s southern growing regions has prompted an immediate warning for graziers...
Greymare residents rally against proposed wind farm project
Residents of Greymare have united to voice their concerns over a proposed wind farm project that has recently been presented to them.
Representatives from...
Kicking off grassroots campaign
Launching his bid for a seat in the federal senate, Milmerran man Duke Wong has kicked off his campaign with a grassroots approach by...


















